【イヌ】病院中が大騒ぎに。パルボウイルス感染症とは①
2023.1.7 -[ハムスター]
明けましておめでとうございます![]()
今年も毎週ブログ更新していく予定の獣医師youです![]()
登場人物紹介
◆◇◆◇◆◇◆◇◆◇◆◇◆◇◆◇◆◇◆◇◆◇◆◇◆◇◆◇◆◇
:筆者です。お腹のタプタプが止まりません。
今回の年末年始は、普段のお休みとうまい具合に絡み合っていました。
そのため、濃厚な休みを堪能することができているはず…![]()
![]()
:動物看護師長。おたアヒドグーのママ。週4日出勤です。
「正月なのに、ブログ休まねーのかよ」
「書き溜めをしておかないのが…(以下略)」
「ぎゃおぉぉんーー
」という未来が見えます。
:おたま。子育てマウント系幼児。プクプク4歳半児。
:アヒル先生。2歳児。いい感じに反抗期。
:ドグーさん。ミルクを飲んで(上からも下からも)出すだけの簡単なお仕事です。0.5歳児。
:今年の抱負「おたまちゃんを倒す(物理)」
![]()
![]()
![]()
:訳あって集まってきた動物たち。
:今年の抱負「誤食をしても、開腹手術されないようにすること」
◆◇◆◇◆◇◆◇◆◇◆◇◆◇◆◇◆◇◆◇◆◇◆◇◆◇◆◇◆◇◆◇◆◇◆◇◆◇
このまま、毎週何事もなく更新ができれば、年明け一発目のブログになるはず…![]()
![]()
そう願って書かせていただいております。
来年のことを言うと鬼が笑うと言いますが、来年の準備をしているお仕事できる人を笑うとか、鬼のようなやつだと思います。
せっかくなので、今年の抱負を書いとこうかと。
今年の抱負
「褒め上手になる(家族に対しても)」
です。
珍しく真面目に書くと恥ずかしいです![]()
褒めるの下手=プライド高い=クソ野郎、みたいな方程式ありそうなので言いたくなかった抱負です。
誰かコツを教えてほしい。
〜〜〜〜〜〜〜〜〜〜〜〜〜〜〜〜〜〜〜〜〜〜〜〜〜〜〜〜〜〜〜〜〜〜〜〜〜〜
今回からはまた違ったワンちゃんの感染症。
パルボウイルス感染症
について解説していきます。
感染力が強く、簡単に命を持っていかれることがある病気。
状況によっては病院での集中治療も必要となります。
でも、いつも打っているワクチンにも大抵は含まれているものでもあります。
そんな、身近だけど馴染みのない病気についてみてみましょう。
○原因は犬パルボウイルス2型![]()
パルボウイルスと言っても、色々います。
猫に「汎血球減少症」を引き起こすもの。
犬で特に症状は示さないとされる「犬パルボウイルス1型」。
今回問題となる、ウイルス性腸炎を起こし、時には短時間で亡くなってしまうことがある「犬パルボウイルス2型」。
では、どこで感染してしまうのでしょうか![]()
○嘔吐物や糞便が口から入ることで感染する。
それは、感染しているワンちゃんの吐いたものや下痢などの糞便から感染します。
そのため、多頭飼育をしていた場合では、ただの下痢だと思ったら集団感染していたなんてこともよくあります。
もちろん、直接的に糞便などが口に入らなかったとしても、汚物を片付けた手や、食器、おもちゃなどから間接的に感染することもあるので注意が必要です。
また、あちこち舐め回すスタイルのお散歩にも要注意ですね。
感染力が強いので、病院では隔離だ防護服だと大騒ぎになります![]()
○パルボウイルスは、環境中で1〜2年生きる。
恐ろしいですね![]()
パルボウイルスは、ノンエンベロープウイルスです。
簡単に言うと、凍結や乾燥、加熱、酸に強いという特徴を持っています。
さらには、新型コロナウイルスに有効とされているアルコールにも抵抗性を持っています。
消化液である胃酸や胆汁酸に耐え、腸の中で生きていくことができるんですから強くて当たり前…といったところでしょうか。
消毒には「次亜塩素酸ナトリウム」が有効です。
○生後1〜6ヶ月くらいは特に要注意![]()
生まれてすぐには、お母さんから受け取った移行抗体が体を守ってくれています。
移行抗体の効果が切れ始めるのは生後1〜2ヶ月。
この時期から生後6ヶ月くらいの免疫が安定していない年齢では特に注意が必要なんです。
また、以下のような時にも悪化しやすいです。
・成犬でも免疫力が不十分な場合
・持病(寄生虫やウイルス、細菌感染)がある場合
・過密環境での飼育
・不衛生な環境での飼育
は注意してください。
『時間が無い方はここを読めば完璧
のコーナー』
・犬パルボウイルス2型が原因
・吐いたものやうんちから感染する
・外でもめっちゃ長生きするウイルス
・特に若い時には要注意
です![]()
![]()
次回はどんな症状が出るのか、治療法(書けたら)についてまとめていきます。
では、また来週![]()
〜〜〜〜〜〜〜〜〜〜〜〜〜〜〜〜〜〜〜〜〜〜〜〜〜〜〜〜〜〜〜〜〜〜〜〜〜〜
知らなきゃよかった生き物の不思議
のコーナー
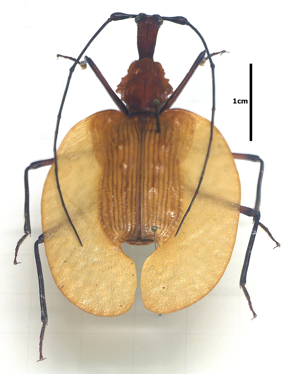
「バイオリン虫の○○○はただの飾り
」
バイオリンの様な形をした虫のお話です。
可愛いかどうかはわかりませんが、素手で触るのはなんとなく嫌な虫です。
両脇に生えている羽根は何のために生えているのか、よくわかっていないそうです。
飛ぶことができる虫ですが、飛ぶときに使うのは別の羽。
狭いところにも入りにくい…はず。
一体なんのために生えているのでしょうか。
〜〜〜〜〜〜〜〜〜〜〜〜〜〜〜〜〜〜〜〜〜〜〜〜〜〜〜〜〜〜〜〜〜〜〜〜〜〜
〜{番外編} 妻さんのひとり言〜
謹賀新年![]()
明けまして、おめでとうございます!
楽しい年越しを過ごせましたでしょうか?
我々は今年もお仕事でした
が、大晦日は実家に集まり楽しめました![]()
2023年が皆様にとって幸福なワクワクする年になりますように
お祈り申し上げます![]()
そして、
今年も当ブログ、獣医師youのつぶやきと私のひとり言をどうぞよろしくお願い致します![]()
新年1回目の今ブログは、私が描いているイラストのメイキング動画をあげさせて頂きます
素人が描いておりますので、プロの方がご覧になると気になるところは沢山あると思いますが、
温かい目でスルーして頂けると幸いです![]()
今週はここまで!
最後までお付き合いいただきありがとうございます![]()
また来週![]()





